Inmobiliaria

FARINA INMOBILIARIA

Ubicación

Ruta N° 40, Lavalle Mendoza

Precio

USD135.000

Información de la propiedad

ID# 2490-638
Tipo de construcción Terreno
Condición Venta
Superficie Total m2 485000
Antigüedad
Tiene Expensas No
Agua No
Gas No
Luz Eléctrica No
Cloacas No
Apto Crédito Hipotecario
¿Aceptan Mascotas?

Descripción

FARINA INMOBILIARIA VENDE

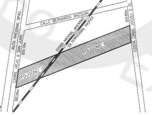
En la provincia de Mendoza, en la localidad de Lavalle, se encuentra este espectacular campo en venta, ideal para diversos emprendimientos agropecuarios. Con una superficie de 48ha. 5871,73m2, este terreno se destaca por su nivelación en terrazas que favorecen el riego de toda la extensión.

El campo cuenta con derecho de riego superficial de carácter eventual y derecho de aguas subterráneas para perforación de 10” para completar la extensión (en la actualidad no se encuentra en uso). Adicionalmente, recibe aportes del ACRE Espejo, lo que lo convierte en una excelente opción para la producción de forrajeras, ganadería u otros destinos industriales.

Ubicado estratégicamente en el ingreso a la ciudad de Lavalle y cercano a la Ciudad de Mendoza, este terreno cuenta con acceso directo a la Ruta Nacional N° 40, una vía asfaltada que facilita la conectividad con otras provincias. Además, presenta una servidumbre administrativa de gasoducto que limita parte de su superficie (1,50ha), aunque esto no afecta su potencial productivo o de desarrollo conforme el destino.

La documentación legal se encuentra en regla, lo que facilita el proceso de escrituración inmediata. No pierdas la oportunidad de adquirir este campo.

¡Contáctanos para coordinar una visita!

Ubicación